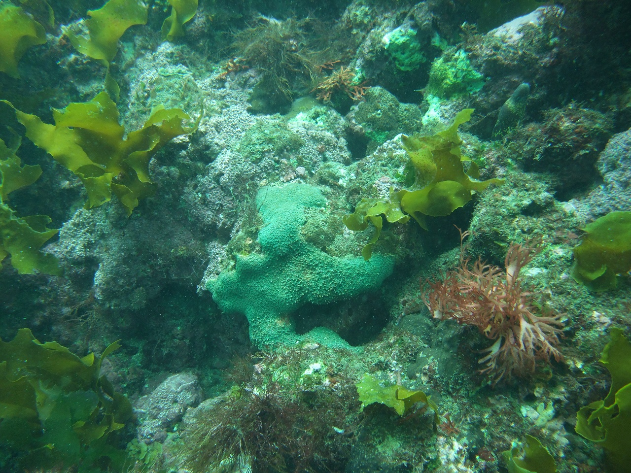
| エンタクミドリイシ(2) 学名:Acropora sp.2 マクロ |
|
|
|
ミドリイシ属
ミドリイシ科
【No.1280469526】
撮影:高砂 淳二
(2011年10月20日)
房総半島・館山坂田
水深:10〜15m
|
|
|
|
↑このページのTOPへ
|
| キクメイシ 学名:Favia speciosa ワイド |
|
|
|
キクメイシ属
キクメイシ科
【No.1280469594】
撮影:高砂 淳二
(2011年10月20日)
房総半島・坂田
水深:10〜15m
open
|
|
|
|
↑このページのTOPへ
|
| キクメイシ 学名:Favia speciosa マクロ |
|
|
|
キクメイシ属
キクメイシ科
【No.1280469638】
撮影:高砂 淳二
(2011年10月20日)
房総半島・館山坂田
水深:10〜15m
|
|
|
|
↑このページのTOPへ
|
| アミメサンゴ 学名:Psammocora profundacella ワイド |
|
|
|
アミメサンゴ属
ヤスリサンゴ科
【No.1280469761】
撮影:高砂 淳二
(2011年10月20日)
房総半島・館山坂田
水深:10〜15m
|
|
|
|
↑このページのTOPへ
|
| アミメサンゴ 学名:Psammocora profundacella マクロ |
|
|
|
アミメサンゴ属
ヤスリサンゴ科
【No.1280469801】
撮影:高砂 淳二
(2011年10月20日)
房総半島・館山坂田
水深:10〜15m
|
|
|
|
↑このページのTOPへ
|
| アミメサンゴ 学名:Psammocora profundacella ワイド |
|
|
|
アミメサンゴ属
ヤスリサンゴ科
【No.1280469852】
撮影:高砂 淳二
(2011年10月20日)
房総半島・館山坂田
水深:10〜15m
|
|
|
|
↑このページのTOPへ
|
| アミメサンゴ 学名:Psammocora profundacella マクロ |
|
|
|
アミメサンゴ属
ヤスリサンゴ科
【No.1280469868】
撮影:高砂 淳二
(2011年10月20日)
房総半島・館山坂田
水深:10〜15m
|
|
|
|
↑このページのTOPへ
|
| トゲイボサンゴ 学名:Hydnophora exesa ワイド |
|
|
|
イボサンゴ属
サザナミサンゴ科
【No.1280469908】
撮影:高砂 淳二
(2011年10月20日)
房総半島・坂田
水深:10〜15m
open
|
|
|
|
↑このページのTOPへ
|
| トゲイボサンゴ 学名:Hydnophora exesa マクロ |
|
|
|
イボサンゴ属
サザナミサンゴ科
【No.1280469948】
撮影:高砂 淳二
(2011年10月20日)
房総半島・館山坂田
水深:10〜15m
|
|
|
|
↑このページのTOPへ
|
| アバタセンベイサンゴ 学名:Leptoseris mycetoseroides ワイド |
|
|
|
センベイサンゴ属
ヒラフキサンゴ科
【No.1280470017】
撮影:高砂 淳二
(2011年10月20日)
房総半島・館山坂田
水深:10〜15m
|
|
|
|
↑このページのTOPへ
|
| アバタセンベイサンゴ 学名:Leptoseris mycetoseroides マクロ |
|
|
|
センベイサンゴ属
ヒラフキサンゴ科
【No.1280470031】
撮影:高砂 淳二
(2011年10月20日)
房総半島・館山坂田
水深:10〜15m
|
|
|
|
↑このページのTOPへ
|
| フカトゲキクメイシ 学名:Cyohastrea serailia ワイド |
|
|
|
トゲキクメイシ属
キクメイシ科
【No.1280470044】
撮影:高砂 淳二
(2011年10月20日)
房総半島・館山坂田
水深:10〜15m
|
|
|
|
↑このページのTOPへ
|
| フカトゲキクメイシ 学名:Cyohastrea serailia マクロ |
|
|
|
トゲキクメイシ属
キクメイシ科
【No.1280470054】
撮影:高砂 淳二
(2011年10月20日)
房総半島・館山坂田
水深:10〜15m
|
|
|
|
↑このページのTOPへ
|
| アミメサンゴ 学名:Psammocora profundacella ワイド |
|
|
|
アミメサンゴ属
ヤスリサンゴ科
【No.1280470072】
撮影:高砂 淳二
(2011年10月20日)
房総半島・坂田
水深:10〜15m
open
|
|
|
|
↑このページのTOPへ
|
| アミメサンゴ 学名:Psammocora profundacella マクロ |
|
|
|
アミメサンゴ属
ヤスリサンゴ科
【No.1280470087】
撮影:高砂 淳二
(2011年10月20日)
房総半島・館山坂田
水深:10〜15m
|
|
|
|
↑このページのTOPへ
|
| チビセンナリスナギンチャク 学名:Parazoanthus aff.parasiticus ワイド |
|
|
|
センナリスナギンチャク科
【No.1280470106】
撮影:高砂 淳二
(2011年10月20日)
房総半島・館山坂田
水深:10〜15m
|
|
|
|
↑このページのTOPへ
|
| チビセンナリスナギンチャク 学名:Parazoanthus aff.parasiticus マクロ |
|
|
|
センナリスナギンチャク科
【No.1280470135】
撮影:高砂 淳二
(2011年10月20日)
房総半島・館山坂田
水深:10〜15m
|
|
|
|
↑このページのTOPへ
|
| アミメサンゴ 学名:Psammocora profundacella ワイド |
|
|
|
アミメサンゴ属
ヤスリサンゴ科
【No.1280470151】
撮影:高砂 淳二
(2011年10月20日)
房総半島・館山坂田
水深:10〜15m
|
|
|
|
↑このページのTOPへ
|
| アミメサンゴ 学名:Psammocora profundacella マクロ |
|
|
|
アミメサンゴ属
ヤスリサンゴ科
【No.1280470217】
撮影:高砂 淳二
(2011年10月20日)
房総半島・館山坂田
水深:10〜15m
|
|
|
|
↑このページのTOPへ
|
| ミダレカメノコキクメイシ 学名:Goniastrea deformis ワイド |
|
|
|
コカメノコキクメイシ属
キクメイシ科
【No.1280470235】
撮影:高砂 淳二
(2011年10月20日)
房総半島・坂田
水深:10〜15m
open
|
|
|
|
↑このページのTOPへ
|
| ミダレカメノコキクメイシ 学名:Goniastrea deformis マクロ |
|
|
|
コカメノコキクメイシ属
キクメイシ科
【No.1280470302】
撮影:高砂 淳二
(2011年10月20日)
房総半島・館山坂田
水深:10〜15m
|
|
|
|
↑このページのTOPへ
|
| アバタセンベイサンゴ 学名:Leptoseris mycetoseroides ワイド |
|
|
|
センベイサンゴ属
ヒラフキサンゴ科
【No.1280470699】
撮影:高砂 淳二
(2011年10月20日)
房総半島・館山市坂田
水深:10〜15m
|
|
|
|
↑このページのTOPへ
|
| アバタセンベイサンゴ 学名:Leptoseris mycetoseroides マクロ |
|
|
|
センベイサンゴ属
ヒラフキサンゴ科
【No.1280470711】
撮影:高砂 淳二
(2011年10月20日)
房総半島・館山市坂田
水深:10〜15m
|
|
|
|
↑このページのTOPへ
|
| エンタクミドリイシ(1) 学名:Acropora sp.1 ワイド |
|
|
|
ミドリイシ属
ミドリイシ科
【No.1280470763】
撮影:高砂 淳二
(2011年10月20日)
房総半島・坂田
水深:10〜15m
open
|
|
|
|
↑このページのTOPへ
|
| エンタクミドリイシ(1) 学名:Acropora sp.1 マクロ |
|
|
|
ミドリイシ属
ミドリイシ科
【No.1280470775】
撮影:高砂 淳二
(2011年10月20日)
房総半島・館山市坂田
水深:10〜15m
|
|
|
|
↑このページのTOPへ
|
| フカトゲキクメイシ 学名:Cyohastrea serailia ワイド |
|
|
|
トゲキクメイシ属
キクメイシ科
【No.1280470810】
撮影:高砂 淳二
(2011年10月20日)
房総半島・坂田
水深:10〜15m
open
|
|
|
|
↑このページのTOPへ
|
| フカトゲキクメイシ 学名:Cyohastrea serailia マクロ |
|
|
|
トゲキクメイシ属
キクメイシ科
【No.1280470853】
撮影:高砂 淳二
(2011年10月20日)
房総半島・館山市坂田
水深:10〜15m
|
|
|
|
↑このページのTOPへ
|
| チビセンナリスナギンチャク 学名:Parazoanthus aff.parasiticus ワイド |
|
|
|
センナリスナギンチャク科
【No.1280470920】
撮影:高砂 淳二
(2011年10月20日)
房総半島・館山市坂田
水深:10〜15m
|
|
|
|
↑このページのTOPへ
|
| チビセンナリスナギンチャク 学名:Parazoanthus aff.parasiticus マクロ |
|
|
|
センナリスナギンチャク科
【No.1280470979】
撮影:高砂 淳二
(2011年10月20日)
房総半島・館山市坂田
水深:10〜15m
|
|
|
|
↑このページのTOPへ
|
| アバタコモンサンゴ 学名:Montipora sp. ワイド |
|
|
|
コモンサンゴ属
ミドリイシ科
【No.1280471039】
撮影:高砂 淳二
(2011年10月20日)
房総半島・坂田
水深:10〜15m
open
|
|
|
|
↑このページのTOPへ
|
| コモンサンゴの仲間 学名:Montipora sp. マクロ |
|
|
|
コモンサンゴ属
ミドリイシ科
【No.1280471066】
撮影:高砂 淳二
(2011年10月20日)
房総半島・館山市坂田
水深:10〜15m
|
|
|
|
↑このページのTOPへ
|
| ミダレカメノコキクメイシ 学名:Goniastrea deformis マクロ |
|
|
|
コカメノコキクメイシ属
キクメイシ科
【No.1281422918】
撮影:後藤 健太郎
(2010年8月8日)
伊豆半島・北川
水深:8m
|
|
|
|
↑このページのTOPへ
|
| ミダレカメノコキクメイシ 学名:Goniastrea deformis マクロ |
|
|
|
コカメノコキクメイシ属
キクメイシ科
【No.1281422963】
撮影:樋川 恭平
(2010年8月8日)
房総半島・北川
水深:8m
|
|
|
|
↑このページのTOPへ
|
| ミダレカメノコキクメイシ 学名:Goniastrea deformis マクロ |
|
|
|
コカメノコキクメイシ属
キクメイシ科
【No.1281422992】
撮影:樋川 恭平
(2010年8月8日)
伊豆半島・北川
水深:8m
|
|
|
|
↑このページのTOPへ
|
| ミダレカメノコキクメイシ 学名:Goniastrea deformis ワイド |
|
|
|
コカメノコキクメイシ属
キクメイシ科
【No.1281423020】
撮影:樋川 恭平
(2010年8月8日)
伊豆半島・北川
水深:8m
open
|
|
|
|
↑このページのTOPへ
|
| キッカサンゴ 学名:Echinophyllia aspera マクロ |
|
|
|
キッカサンゴ属
ウミバラ科
【No.1281423162】
撮影:後藤 健太郎
(2010年8月8日)
伊豆半島・北川
水深:8m
|
|
|
|
↑このページのTOPへ
|
| キッカサンゴ 学名:Echinophyllia aspera ワイド |
|
|
|
キッカサンゴ属
ウミバラ科
【No.1281423212】
撮影:後藤 健太郎
(2010年8月8日)
伊豆半島・北川
水深:8m
|
|
|
|
↑このページのTOPへ
|
| キクメイシ 学名:Favia speciosa ワイド |
|
|
|
キクメイシ属
キクメイシ科
【No.1281423240】
撮影:後藤 健太郎
(2010年8月8日)
伊豆半島・北川
水深:8m
|
|
|
|
↑このページのTOPへ
|
| キクメイシ 学名:Favia speciosa マクロ |
|
|
|
キクメイシ属
キクメイシ科
【No.1281423411】
撮影:後藤 健太郎
(2010年8月8日)
伊豆半島・北川
水深:8m
|
|
|
|
↑このページのTOPへ
|
| キクメイシ 学名:Favia speciosa マクロ |
|
|
|
キクメイシ属
キクメイシ科
【No.1281423462】
撮影:星井 華子
(2010年8月8日)
伊豆半島・北川
水深:8m
open
|
|
|
|
↑このページのTOPへ
|
| キッカサンゴ 学名:Echinophyllia aspera ワイド |
|
|
|
キッカサンゴ属
ウミバラ科
【No.1281423765】
撮影:後藤 健太郎
(2010年8月8日)
伊豆半島・北川
水深:7m
|
|
|
|
↑このページのTOPへ
|
| キッカサンゴ 学名:Echinophyllia aspera ワイド |
|
|
|
キッカサンゴ属
ウミバラ科
【No.1281424071】
撮影:仲 祐介
(2010年8月8日)
伊豆半島・北川
水深:7m
|
|
|
|
↑このページのTOPへ
|
| フカトゲキクメイシ 学名:Cyohastrea serailia マクロ |
|
|
|
トゲキクメイシ属
キクメイシ科
【No.1281424442】
撮影:後藤 健太郎
(2010年8月8日)
伊豆半島・北川
水深:8m
open
|
|
|
|
↑このページのTOPへ
|
| トゲキクメイシの仲間 学名:Cyphastrea sp. ワイド |
|
|
|
トゲキクメイシ属
キクメイシ科
【No.1281424500】
撮影:後藤 健太郎
(2010年8月8日)
伊豆半島・北川
水深:8m
|
|
|
|
↑このページのTOPへ
|
| トゲイボサンゴ 学名:Hydnophora exesa マクロ |
|
|
|
イボサンゴ属
サザナミサンゴ科
【No.1281425317】
撮影:後藤 健太郎
(2010年8月8日)
伊豆半島・北川
水深:8m
|
|
|
|
↑このページのTOPへ
|
| トゲイボサンゴ 学名:Hydnophora exesa マクロ |
|
|
|
イボサンゴ属
サザナミサンゴ科
【No.1281425525】
撮影:大庭 政人
(2010年8月8日)
伊豆半島・北川
水深:8m
|
|
|
|
↑このページのTOPへ
|
| トゲイボサンゴ 学名:Hydnophora exesa ワイド |
|
|
|
イボサンゴ属
サザナミサンゴ科
【No.1281425760】
撮影:後藤 健太郎
(2010年8月8日)
伊豆半島・北川
水深:8m
|
|
|
|
↑このページのTOPへ
|
| トゲイボサンゴ 学名:Hydnophora exesa ワイド |
|
|
|
イボサンゴ属
サザナミサンゴ科
【No.1281425798】
撮影:籏野 道子
(2010年8月8日)
伊豆半島・北川
水深:7m
open
|
|
|
|
↑このページのTOPへ
|
| ハマサンゴの仲間 学名:Porites sp. ワイド |
|
|
|
ハマサンゴ属
ハマサンゴ科
【No.1281425858】
撮影:樋川 恭平
(2010年8月8日)
伊豆半島・北川
水深:7m
|
|
|
|
↑このページのTOPへ
|
| ハマサンゴの仲間 学名:Porites sp. マクロ |
|
|
|
ハマサンゴ属
ハマサンゴ科
【No.1281425899】
撮影:樋川 恭平
(2010年8月8日)
伊豆半島・北川
水深:7m
|
|
|
|
↑このページのTOPへ
|
| ハマサンゴの仲間 学名:Porites sp. マクロ |
|
|
|
ハマサンゴ属
ハマサンゴ科
【No.1281425987】
撮影:後藤 健太郎
(2010年8月8日)
伊豆半島・北川
水深:7m
|
|
|
|
↑このページのTOPへ
|
| ハマサンゴの仲間 学名:Porites sp. マクロ |
|
|
|
ハマサンゴ属
ハマサンゴ科
【No.1281426052】
撮影:大庭 政人
(2010年8月8日)
伊豆半島・北川
水深:7m
|
|
|
|
↑このページのTOPへ
|
| ハマサンゴの仲間 学名:Porites sp. マクロ |
|
|
|
ハマサンゴ属
ハマサンゴ科
【No.1281426102】
撮影:大庭 政人
(2010年8月8日)
伊豆半島・北川
水深:7m
|
|
|
|
↑このページのTOPへ
|
| ベルベットサンゴ 学名:Psammocora superficialis マクロ |
|
|
|
アミメサンゴ属
ヤスリサンゴ科
【No.1281426170】
撮影:後藤 健太郎
(2010年8月8日)
伊豆半島・北川
水深:7m
|
|
|
|
↑このページのTOPへ
|
| ベルベットサンゴ 学名:Psammocora superficialis マクロ |
|
|
|
アミメサンゴ属
ヤスリサンゴ科
【No.1281426399】
撮影:星井 華子
(2010年8月8日)
伊豆半島・北川
水深:
open
|
|
|
|
↑このページのTOPへ
|
| ベルベットサンゴ 学名:Psammocora superficialis ワイド |
|
|
|
アミメサンゴ属
ヤスリサンゴ科
【No.1281426473】
撮影:後藤 健太郎
(2010年8月8日)
伊豆半島・北川
水深:
|
|
|
|
↑このページのTOPへ
|
| ミダレカメノコキクメイシ 学名:Goniastrea deformis マクロ |
|
|
|
コカメノコキクメイシ属
キクメイシ科
【No.1281426523】
撮影:後藤 健太郎
(2010年8月8日)
伊豆半島・北川
水深:
|
|
|
|
↑このページのTOPへ
|
| ミダレカメノコキクメイシ 学名:Goniastrea deformis ワイド |
|
|
|
コカメノコキクメイシ属
キクメイシ科
【No.1281426569】
撮影:後藤 健太郎
(2010年8月8日)
伊豆半島・北川
水深:
|
|
|
|
↑このページのTOPへ
|
| ミレポラコモンサンゴ 学名:Montipora millepora マクロ |
|
|
|
コモンサンゴ属
ミドリイシ科
【No.1281426625】
撮影:後藤 健太郎
(2010年8月8日)
伊豆半島・北川
水深:
|
|
|
|
↑このページのTOPへ
|
| ミレポラコモンサンゴ 学名:Montipora millepora ワイド |
|
|
|
コモンサンゴ属
ミドリイシ科
【No.1281426866】
撮影:後藤 健太郎
(2010年8月8日)
伊豆半島・北川
水深:
|
|
|
|
↑このページのTOPへ
|
| ミレポラコモンサンゴ 学名:Montipora millepora ワイド |
|
|
|
コモンサンゴ属
ミドリイシ科
【No.1281426879】
撮影:後藤 健太郎
(2010年8月8日)
伊豆半島・北川
水深:
|
|
|
|
↑このページのTOPへ
|
| ミレポラコモンサンゴ 学名:Montipora millepora マクロ |
|
|
|
コモンサンゴ属
ミドリイシ科
【No.1281426900】
撮影:星井 華子
(2010年8月8日)
伊豆半島・北川
水深:
|
|
|
|
↑このページのTOPへ
|
| ミレポラコモンサンゴ 学名:Montipora millepora ワイド |
|
|
|
コモンサンゴ属
ミドリイシ科
【No.1281426916】
撮影:星井 華子
(2010年8月8日)
伊豆半島・北川
水深:
open
|
|
|
|
↑このページのTOPへ
|
| ミレポラコモンサンゴ 学名:Montipora millepora マクロ |
|
|
|
コモンサンゴ属
ミドリイシ科
【No.1281426978】
撮影:後藤 健太郎
(2010年8月8日)
伊豆半島・北川
水深:7m
|
|
|
|
↑このページのTOPへ
|
| エンタクミドリイシ(2) 学名:Acropora sp.2 ワイド |
|
|
|
ミドリイシ科
ミドリイシ科
【No.1285331732】
撮影:籏野 道子
(2010年9月5日)
伊豆半島・黄金崎
水深:10m〜16m??
open
|
|
|
|
↑このページのTOPへ
|
| ウミバラ 学名:Pectinia (Physophyllia) ayleni マクロ |
|
|
|
ウミバラ属
ウミバラ科
【No.1288596279】
撮影:後藤 健太郎
(2010年10月22日)
伊豆半島・田子
水深:14m
|
|
|
|
↑このページのTOPへ
|
| ウミバラ 学名:Pectinia (Physophyllia) ayleni ワイド |
|
|
|
ウミバラ属
ウミバラ科
【No.1288596307】
撮影:後藤 健太郎
(2010年10月22日)
伊豆半島・田子
水深:14m
|
|
|
|
↑このページのTOPへ
|
| チヂミノウサンゴ 学名:Platygyra contorta (サブ) |
|
|
|
ノウサンゴ属
キクメイシ科
【No.1288596653】
撮影:後藤 健太郎
(2010年10月22日)
伊豆半島・田子
水深:5m
|
|
|
|
↑このページのTOPへ
|
| ミダレノウサンゴ 学名:Platygyra contorta ワイド |
|
|
|
ノウサンゴ属
キクメイシ科
【No.1288596682】
撮影:後藤 健太郎
(2010年10月22日)
伊豆半島・田子
水深:5m
open
|
|
|
|
↑このページのTOPへ
|
| ハナガササンゴの仲間 学名:Goniopora sp. マクロ |
|
|
|
ハナガササンゴ属
ハマサンゴ科
【No.1288596961】
撮影:後藤 健太郎
(2010年10月22日)
伊豆半島・田子
水深:8m
|
|
|
|
↑このページのTOPへ
|
| ハナガササンゴの仲間 学名:Goniopora sp. ワイド |
|
|
|
ハナガササンゴ属
ハマサンゴ科
【No.1288596986】
撮影:後藤 健太郎
(2010年10月22日)
伊豆半島・田子
水深:8m
open
|
|
|
|
↑このページのTOPへ
|
| ムカシサンゴ 学名:Stylocoeniella guentheri (サブ) |
|
|
|
ムカシサンゴ属
ムカシサンゴ科
【No.1288597176】
撮影:後藤 健太郎
(2010年10月22日)
伊豆半島・田子
水深:15m
|
|
|
|
↑このページのTOPへ
|
| ムカシサンゴ 学名:Stylocoeniella guentheri ワイド |
|
|
|
ムカシサンゴ属
ムカシサンゴ科
【No.1288597586】
撮影:後藤 健太郎
(2010年10月22日)
伊豆半島・田子
水深:15m
|
|
|
|
↑このページのTOPへ
|
| ヤスリサンゴの仲間1 学名:Coscinaraea sp.1 ワイド |
|
|
|
ヤスリサンゴ属
ヤスリサンゴ科
【No.1288597747】
撮影:後藤 健太郎
(2010年10月22日)
伊豆半島・田子
水深:6m
open
|
|
|
|
↑このページのTOPへ
|
| ヤスリサンゴの仲間1 学名:Coscinaraea crassa (サブ) |
|
|
|
ヤスリサンゴ属
ヤスリサンゴ科
【No.1288597775】
撮影:後藤 健太郎
(2010年10月22日)
伊豆半島・田子
水深:6m
|
|
|
|
↑このページのTOPへ
|
| ヤスリサンゴの仲間2 学名:Coscinaraea sp. 2 (サブ) |
|
|
|
ヤスリサンゴ属
ヤスリサンゴ科
【No.1288597849】
撮影:後藤 健太郎
(2010年10月22日)
伊豆半島・田子
水深:11m
|
|
|
|
↑このページのTOPへ
|
| ノマヤスリサンゴ 学名:Coscinaraea monile ワイド |
|
|
|
ヤスリサンゴ属
ヤスリサンゴ科
【No.1288597869】
撮影:後藤 健太郎
(2010年10月22日)
伊豆半島・田子
水深:11m
|
|
|
|
↑このページのTOPへ
|
| ナガレハナサンゴ 学名:Euphyllia ancora ワイド |
|
|
|
ナガレハナサンゴ属
チョウジガイ科
【No.1288598883】
撮影:後藤 健太郎
(2010年10月24日)
伊豆半島・安良里
水深:16m
open
|
|
|
|
↑このページのTOPへ
|
| ナガレハナサンゴ 学名:Euphyllia ancora マクロ |
|
|
|
ナガレハナサンゴ属
チョウジガイ科
【No.1288598936】
撮影:後藤 健太郎
(2010年10月24日)
伊豆半島・安良里
水深:16m
|
|
|
|
↑このページのTOPへ
|
| アマクサオオトゲキクメイシ 学名:Acanthastrea amakusensis ワイド |
|
|
|
オオトゲキクメイシ属
オオトゲサンゴ科
【No.1288606266】
撮影:後藤 健太郎
(2010年10月25日)
伊豆半島・富戸
水深:3m
|
|
|
|
↑このページのTOPへ
|
| アマクサオオトゲキクメイシ 学名:Acanthastrea amakusensis (サブ) |
|
|
|
オオトゲキクメイシ属
オオトゲサンゴ科
【No.1288606277】
撮影:後藤 健太郎
(2010年10月25日)
伊豆半島・富戸
水深:3m
|
|
|
|
↑このページのTOPへ
|
| トゲイボサンゴ 学名:Hydnophora exesa マクロ |
|
|
|
イボサンゴ属
サザナミサンゴ科
【No.1289222184】
撮影:籏野 道子
(2010年11月7日)
伊豆半島・八幡野
水深:14mくらい??
open
|
|
|
|
↑このページのTOPへ
|
| トゲイボサンゴ 学名:Hydnophora exesa マクロ |
|
|
|
イボサンゴ属
サザナミサンゴ科
【No.1289222455】
撮影:籏野 道子
(2010年11月7日)
伊豆半島・八幡野
水深:14mくらい
|
|
|
|
↑このページのTOPへ
|
| アミメサンゴ 学名:Psammocora profundacella マクロ |
|
|
|
アミメサンゴ属
ヤスリサンゴ科
【No.1289222750】
撮影:籏野 道子
(2010年11月7日)
伊豆半島・八幡野
水深:14mくらい??
open
|
|
|
|
↑このページのTOPへ
|
| アマクサオオトゲキクメイシ 学名:Acanthastrea amakusensis マクロ |
|
|
|
オオトゲキクメイシ属
オオトゲサンゴ科
【No.1289547215】
撮影:仲 祐介
(2010年10月25日)
伊豆半島・富戸
水深:3m
|
|
|
|
↑このページのTOPへ
|
| アマクサオオトゲキクメイシ 学名:Acanthastrea amakusensis ワイド |
|
|
|
オオトゲキクメイシ属
オオトゲサンゴ科
【No.1289547232】
撮影:仲 祐介
(2010年10月25日)
伊豆半島・富戸
水深:3m
open
|
|
|
|
↑このページのTOPへ
|
| アマクサオオトゲキクメイシ 学名:Acanthastrea amakusensis ワイド |
|
|
|
オオトゲキクメイシ属
オオトゲサンゴ科
【No.1290046219】
撮影:浪崎 直子
(2010年10月25日)
伊豆半島・富戸
水深:3m
|
|
|
|
↑このページのTOPへ
|
| アマクサオオトゲキクメイシ 学名:Acanthastrea amakusensis マクロ |
|
|
|
オオトゲキクメイシ属
オオトゲサンゴ科
【No.1290046333】
撮影:浪崎 直子
(2010年10月25日)
伊豆半島・富戸
水深:3m
|
|
|
|
↑このページのTOPへ
|
| ウネカメノコキクメイシ 学名:Goniastrea australensis マクロ |
|
|
|
コカメノコキクメイシ属
キクメイシ科
【No.1290046817】
撮影:浪崎 直子
(2010年10月24日)
伊豆半島・安良里
水深:14m
|
|
|
|
↑このページのTOPへ
|
| ウネカメノコキクメイシ 学名:Goniastrea australensis ワイド |
|
|
|
コカメノコキクメイシ属
キクメイシ科
【No.1290046982】
撮影:浪崎 直子
(2010年10月24日)
伊豆半島・安良里
水深:14m
open
|
|
|
|
↑このページのTOPへ
|
| キッカサンゴ 学名:Echinophyllia aspera マクロ |
|
|
|
キッカサンゴ属
ウミバラ科
【No.1290047072】
撮影:浪崎 直子
(2010年10月24日)
伊豆半島・安良里
水深:15m
|
|
|
|
↑このページのTOPへ
|
| キッカサンゴ 学名:Echinophyllia aspera ワイド |
|
|
|
キッカサンゴ属
ウミバラ科
【No.1290047126】
撮影:浪崎 直子
(2010年10月24日)
伊豆半島・安良里
水深:15m
|
|
|
|
↑このページのTOPへ
|
| キッカサンゴ 学名:Echinophyllia aspera ワイド |
|
|
|
キッカサンゴ属
ウミバラ科
【No.1290047177】
撮影:浪崎 直子
(2010年10月24日)
伊豆半島・安良里
水深:15m
|
|
|
|
↑このページのTOPへ
|
| キッカサンゴ 学名:Echinophyllia aspera マクロ |
|
|
|
キッカサンゴ属
ウミバラ科
【No.1290047194】
撮影:浪崎 直子
(2010年10月24日)
伊豆半島・安良里
水深:15m
|
|
|
|
↑このページのTOPへ
|
| ミダレカメノコキクメイシ 学名:Goniastrea deformis マクロ |
|
|
|
コカメノコキクメイシ属
キクメイシ科
【No.1290047652】
撮影:浪崎 直子
(2010年10月24日)
伊豆半島・安良里
水深:15m
open
|
|
|
|
↑このページのTOPへ
|
| ミダレカメノコキクメイシ 学名:Goniastrea deformis ワイド |
|
|
|
コカメノコキクメイシ属
キクメイシ科
【No.1290047689】
撮影:浪崎 直子
(2010年10月24日)
伊豆半島・安良里
水深:15m
|
|
|
|
↑このページのTOPへ
|
| ヤスリサンゴの仲間1 学名:Coscinaraea crassa ワイド |
|
|
|
ヤスリサンゴ属
ヤスリサンゴ科
【No.1290048343】
撮影:浪崎 直子
(2010年10月23日)
伊豆半島・安良里
水深:15m
|
|
|
|
↑このページのTOPへ
|
| キクメイシ 学名:Favia speciosa ワイド |
|
|
|
キクメイシ属
キクメイシ科
【No.1290048494】
撮影:浪崎 直子
(2010年10月23日)
伊豆半島・安良里
水深:15m
|
|
|
|
↑このページのTOPへ
|
| キクメイシ 学名:Favia speciosa マクロ |
|
|
|
キクメイシ属
キクメイシ科
【No.1290048507】
撮影:浪崎 直子
(2010年10月23日)
伊豆半島・安良里
水深:15m
|
|
|
|
↑このページのTOPへ
|
| ボンサイイボサンゴ 学名:Hydnophora bonsai ワイド |
|
|
|
イボサンゴ属
サザナミサンゴ科
【No.1290048821】
撮影:浪崎 直子
(2010年10月23日)
伊豆半島・安良里
水深:15m
|
|
|
|
↑このページのTOPへ
|
| ボンサイイボサンゴ 学名:Hydnophora bonsai マクロ |
|
|
|
イボサンゴ属
サザナミサンゴ科
【No.1290048842】
撮影:浪崎 直子
(2010年10月23日)
伊豆半島・安良里
水深:15m
open
|
|
|
|
↑このページのTOPへ
|
| フカトゲキクメイシ 学名:Cyohastrea serailia ワイド |
|
|
|
トゲキクメイシ属
キクメイシ科
【No.1290048934】
撮影:浪崎 直子
(2010年10月24日)
伊豆半島・安良里
水深:15m
open
|
|
|
|
↑このページのTOPへ
|
| フカトゲキクメイシ 学名:Cyohastrea serailia マクロ |
|
|
|
トゲキクメイシ属
キクメイシ科
【No.1290048948】
撮影:浪崎 直子
(2010年10月24日)
伊豆半島・安良里
水深:15m
|
|
|
|
↑このページのTOPへ
|
| ハナガタサンゴの仲間 学名:Lobophyllia sp. ワイド |
|
|
|
ハナガタサンゴ属
オオトゲサンゴ科
【No.1290049255】
撮影:浪崎 直子
(2010年10月23日)
伊豆半島・安良里
水深:15m
open
|
|
|
|
↑このページのTOPへ
|
| ハナガタサンゴの仲間 学名:Lobophyllia sp. マクロ |
|
|
|
ハナガタサンゴ属
オオトゲサンゴ科
【No.1290049267】
撮影:浪崎 直子
(2010年10月23日)
伊豆半島・安良里
水深:15m
|
|
|
|
↑このページのTOPへ
|
| アミメサンゴ 学名:Psammocora profundacella ワイド |
|
|
|
アミメサンゴ属
ヤスリサンゴ科
【No.1290049514】
撮影:浪崎 直子
(2010年10月23日)
伊豆半島・安良里
水深:15m
|
|
|
|
↑このページのTOPへ
|
| アミメサンゴ 学名:Psammocora profundacella マクロ |
|
|
|
アミメサンゴ属
ヤスリサンゴ科
【No.1290049537】
撮影:浪崎 直子
(2010年10月23日)
伊豆半島・安良里
水深:15m
open
|
|
|
|
↑このページのTOPへ
|
| エンタクミドリイシ(2) 学名:Acropora sp.2 ワイド |
|
|
|
ミドリイシ属
ミドリイシ科
【No.1290131065】
撮影:阿部 武彦
(2010年11月18日)
伊豆半島・北川
水深:17m
open
|
|
|
|
↑このページのTOPへ
|
| エンタクミドリイシ(2) 学名:Acropora sp.2 ワイド |
|
|
|
ミドリイシ属
ミドリイシ科
【No.1290131171】
撮影:阿部 武彦
(2010年11月18日)
伊豆半島・北川
水深:17m
|
|
|
|
↑このページのTOPへ
|
| キッカサンゴ 学名:Echinophyllia aspera ワイド |
|
|
|
キッカサンゴ属
ウミバラ科
【No.1290131580】
撮影:仲 祐介
(2010年11月8日)
伊豆半島・北川
水深:22m
open
|
|
|
|
↑このページのTOPへ
|
| キッカサンゴ 学名:Echinophyllia aspera マクロ |
|
|
|
キッカサンゴ属
ウミバラ科
【No.1290131651】
撮影:仲 祐介
(2010年11月8日)
伊豆半島・北川
水深:22m
|
|
|
|
↑このページのTOPへ
|
| アバタセンベイサンゴ 学名:Leptoseris mycetoseroides ワイド |
|
|
|
センベイサンゴ属
ヒラフキサンゴ科
【No.1290131867】
撮影:仲 祐介
(2010年11月8日)
伊豆半島・北川
水深:20m
|
|
|
|
↑このページのTOPへ
|
| アバタセンベイサンゴ 学名:Leptoseris mycetoseroides マクロ |
|
|
|
センベイサンゴ属
ヒラフキサンゴ科
【No.1290131888】
撮影:仲 祐介
(2010年11月8日)
伊豆半島・北川
水深:20m
open
|
|
|
|
↑このページのTOPへ
|
| トゲキクメイシの仲間 学名:Cyphastrea sp. ワイド |
|
|
|
トゲキクメイシ属
キクメイシ科
【No.1290131935】
撮影:仲 祐介
(2010年11月8日)
伊豆半島・北川
水深:12m
|
|
|
|
↑このページのTOPへ
|
| トゲキクメイシの仲間 学名:Cyphastrea sp. マクロ |
|
|
|
トゲキクメイシ属
キクメイシ科
【No.1290131959】
撮影:仲 祐介
(2010年11月8日)
伊豆半島・北川
水深:12m
|
|
|
|
↑このページのTOPへ
|
| キクメイシモドキ 学名:Oulastrea crispata マクロ |
|
|
|
キクメイシモドキ属
キクメイシ科
【No.1290608181】
撮影:籏野 道子
(2010年11月20日)
三浦半島・神奈川県葉山町
水深:1m
|
|
|
|
↑このページのTOPへ
|
| キクメイシモドキ 学名:Oulastrea crispata マクロ |
|
|
|
キクメイシモドキ属
キクメイシ科
【No.1290608216】
撮影:籏野 道子
(2010年11月20日)
三浦半島・神奈川県葉山町
水深:1m
|
|
|
|
↑このページのTOPへ
|
| アミメサンゴ 学名:Psammocora profundacella マクロ |
|
|
|
アミメサンゴ属
ヤスリサンゴ科
【No.1290608314】
撮影:籏野 道子
(2010年11月20日)
三浦半島・名島
水深:
|
|
|
|
↑このページのTOPへ
|
| アミメサンゴ 学名:Psammocora profundacella マクロ |
|
|
|
アミメサンゴ属
ヤスリサンゴ科
【No.1290608356】
撮影:籏野 道子
(2010年11月20日)
三浦半島・名島
水深:
|
|
|
|
↑このページのTOPへ
|
| フカトゲキクメイシ 学名:Cyohastrea serailia ワイド |
|
|
|
トゲキクメイシ属
キクメイシ科
【No.1291981690】
撮影:仲 祐介
(2010年12月9日)
伊豆半島・富戸
水深:18m
open
|
|
|
|
↑このページのTOPへ
|
| フカトゲキクメイシ 学名:Cyohastrea serailia マクロ |
|
|
|
トゲキクメイシ属
キクメイシ科
【No.1291981721】
撮影:仲 祐介
(2010年12月9日)
伊豆半島・富戸
水深:18m
|
|
|
|
↑このページのTOPへ
|
| アミメサンゴ 学名:Psammocora profundacella ワイド |
|
|
|
アミメサンゴ属
ヤスリサンゴ科
【No.1295509643】
撮影:山木
(2010年11月20日)
三浦半島・葉山
水深:18m
|
|
|
|
↑このページのTOPへ
|
| アミメサンゴ 学名:Psammocora profundacella ワイド |
|
|
|
アミメサンゴ属
ヤスリサンゴ科
【No.1295509671】
撮影:山木
(2010年11月20日)
三浦半島・葉山
水深:18m
|
|
|
|
↑このページのTOPへ
|
| アミメサンゴ 学名:Psammocora profundacella マクロ |
|
|
|
アミメサンゴ属
ヤスリサンゴ科
【No.1295509695】
撮影:山木
(2010年11月20日)
三浦半島・葉山
水深:18m
|
|
|
|
↑このページのTOPへ
|
| アミメサンゴ 学名:Psammocora profundacella マクロ |
|
|
|
アミメサンゴ属
ヤスリサンゴ科
【No.1295509720】
撮影:山木
(2010年11月20日)
三浦半島・葉山
水深:18m
|
|
|
|
↑このページのTOPへ
|